Działka komercyjna
1 Maja, Wołomin, mazowieckie
- 668 800 zł
- 1 520 m²
- 440 zł/m²
Joanna Lar
Skontaktuj się
Działka komercyjna
1 Maja, Wołomin, mazowieckie
zobacz mapę
zaktualizowane:
24 października 2025
Działka komercyjna
Zaktualizowane: 24 października 2025
668 800 zł 1 520 m² 440 zł/m²
Warto zadzwonić
wysokie zainteresowanie
usługowa
droga asfaltowa
prostokąt
prąd, woda, kanalizacja
Zobacz na mapie
Rodzaj działki:
usługowaDojazd:
droga asfaltowaKształt:
prostokątMedia:
prąd, woda, kanalizacjaSzczegóły ogłoszenia
- Typ oferty: działka na sprzedaż
- Cena: 668 800 zł (440 zł/m²)
- Forma własności: własność, księga wieczysta
- Działka: usługowa, 1 520 m²
- kształt: prostokąt; teren płaski
- dojazd drogą asfaltową, działka nieogrodzona
- określone warunki zabudowy
- Media: prąd, woda miejska / wodociąg, kanalizacja (działka uzbrojona)
- Źródło: biuro nieruchomości: Plena Invest, zaktualizowane: 24.10.2025
- numer ogłoszenia: 81/13691/OGS
Oferta na wyłączność – nie szukaj dalej
Lokalizacja
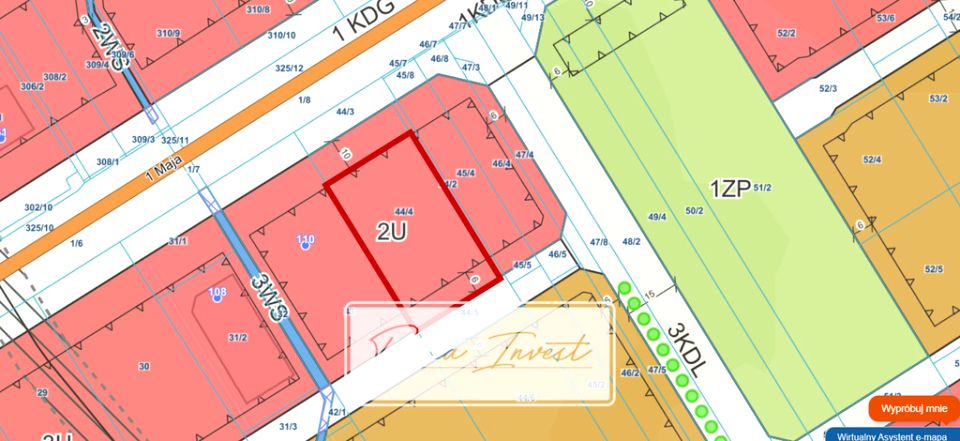
- Adres: 1 Maja, Wołomin, wołomiński, mazowieckie
- Otoczenie: luźna zabudowa jednorodzinna, tereny zielone i rekreacyjne, obiekty handlowo-usługowe, teren niezabudowany
- cicho
Opis nieruchomości
Zapraszam do zakupu działki inwestycyjnej o powierzchni 1 520 m2 w Wołominie przy ul. 1-go Maja
OFERTA NA WYŁĄCZNOŚĆ
SPECYFIKACJA:
*numer ewidencyjny - 44/4 (obręb 35)
*przybliżone wymiary - 27x56
*media dostępne w drodze: woda, prąd, kanalizacja
*kształt - prostokątdojazd drogą publiczną - ul. (...)
Rozwiń opis
- Zgłoś błąd lub naruszenie
- Drukuj

